トップページ
予約スケジュール
釣果ブログ
仕掛け・釣り方
料金
船紹介
アクセス
お問い合わせ
スポンサーリンク
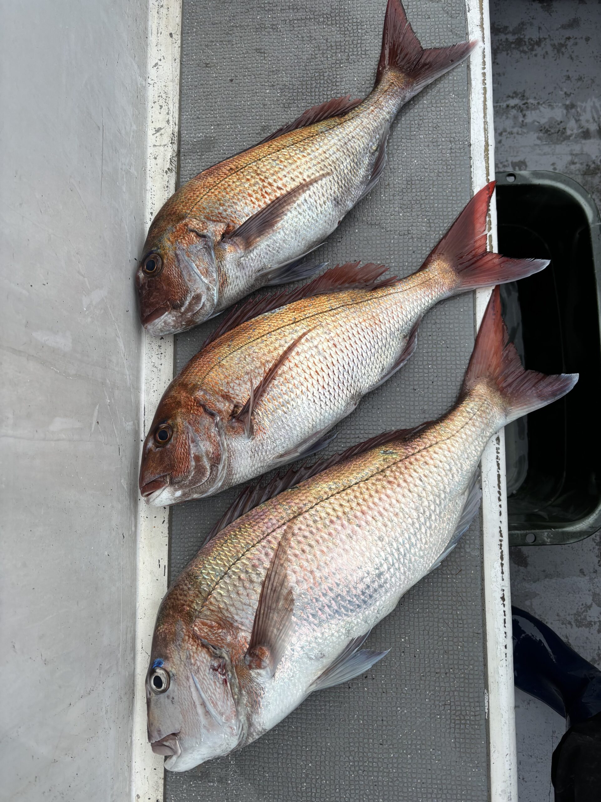
2/10(火)ディープタイラバ
釣果
2026.02.10
6:00〜 Dタイラバ
1.0〜3.2kg 0〜3枚
他、ブリ、アラなど
スポンサーリンク
2/5(木)Dタイラバ
2/14(土)タイラバ・アジ
ホーム
釣果
スポンサーリンク
スポンサーリンク
メニュー
トップページ
予約スケジュール
釣果ブログ
仕掛け・釣り方
料金
船紹介
アクセス
お問い合わせ
検索