トップページ
予約スケジュール
釣果ブログ
仕掛け・釣り方
料金
船紹介
アクセス
お問い合わせ
スポンサーリンク
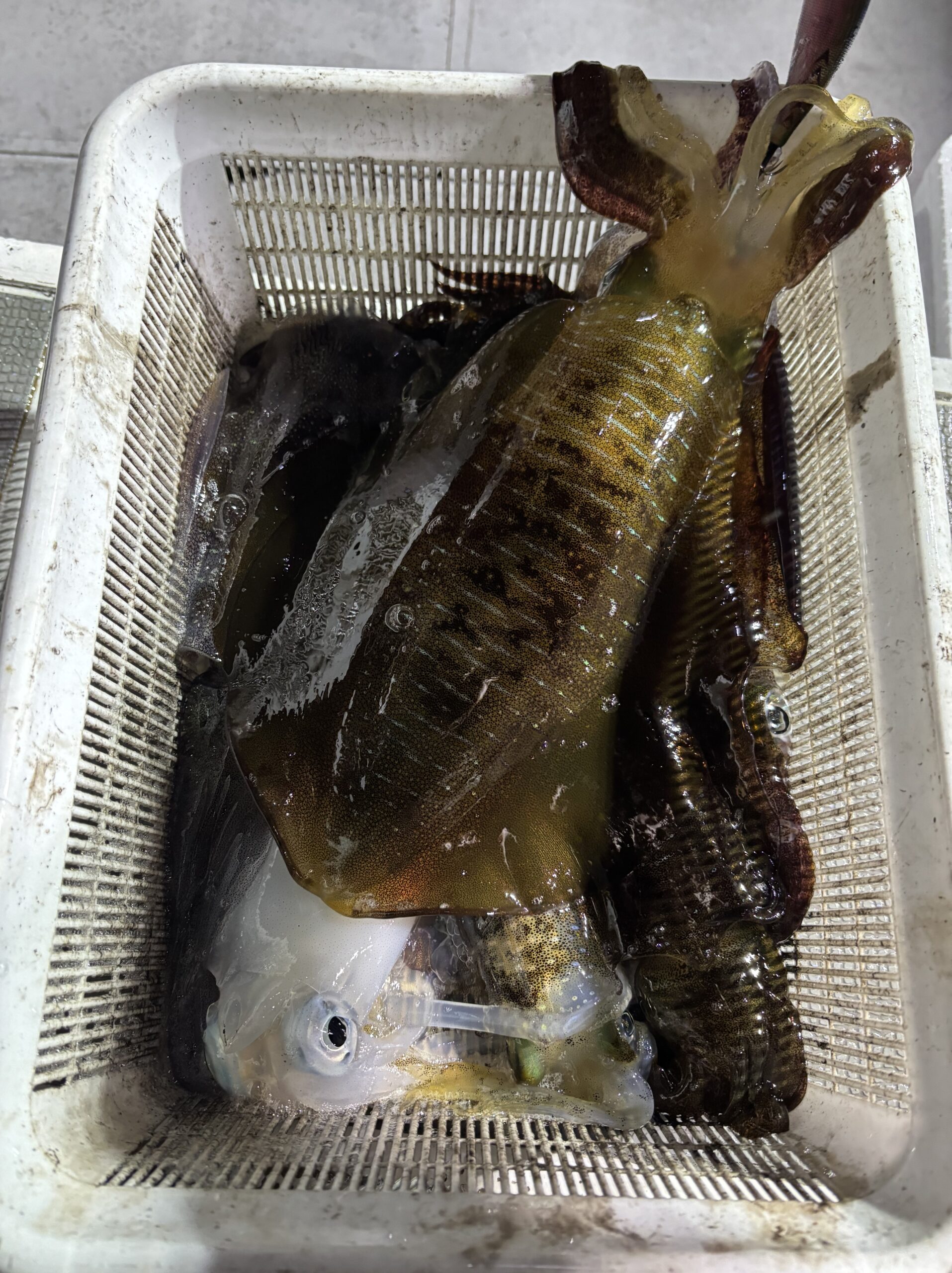
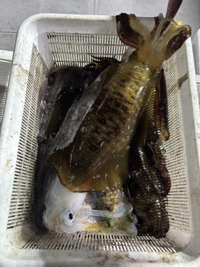
10/12(日)アオリイカ
釣果
2025.10.13
10月12日(日)
17:00〜 アオリイカ
0〜4杯
23:00〜 アオリイカ
0〜12杯
スポンサーリンク
10/11(土)マダイ・ワラサ・アオリイカ
10/15(水)アオリイカ
ホーム
釣果
スポンサーリンク
スポンサーリンク
メニュー
トップページ
予約スケジュール
釣果ブログ
仕掛け・釣り方
料金
船紹介
アクセス
お問い合わせ
検索